A permit was issued by the City of Chicago on October 10 to build 16 residential units on a vacant lot at 2509 South Green Street in Bridgeport. Developer Phil Chen applied for the permit on May 28, and it came through with a reported cost of $16 million.

Site context, via Google Maps

Site context, via Google Maps
The subject parcel is an empty lot just south of Archer Avenue. Orange Line riders are familiar with it as a shortcut between the train platform and Halsted Street. The lot sits alongside the Stevenson Expressway, and can be accessed from Green Street and from an alley that connects to Halsted Street.

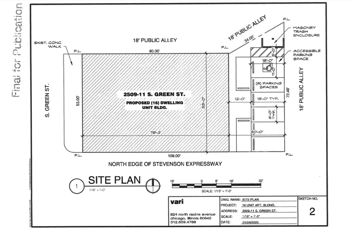
Site plan by Vari Architects

First floor plan by Vari Architects

Upper three floor plans by Vari Architects
On the way is a four-story building designed by Vari Architects. A rooftop stair penthouse and eight surface parking spaces are the only details included in the permit. Drawings included in the March 12, 2025 City Council approval presentation show four dwelling units on each floor, including the first level, which will also contain a small residential lobby. The elevator building will include two internal stairways. Interstate Mechanical & Construction Inc will provide general contracting services.

2509 South Green Street, via Google Street View

From the alley ff Halsted Street, via Google Street View

Nearby transit options, via Google Maps
2509 South Green Street is directly across the street from the Halsted Orange Line elevated platform. Buses for CTA Routes 8, 44, and 62 are also available at the Orange Line platform. There is a Divvy bike rack on the northwest corner of the intersection of Halsted and Archer Avenue.
Subscribe to YIMBY’s daily e-mail
![]()
Follow YIMBYgram for real-time photo updates
Like YIMBY on Facebook
Follow YIMBY’s Twitter for the latest in YIMBYnews


Great location right by the Halsted station. Looking forward to it!
It’s unfortunate they didn’t formalize the “cut through” and add commercial: this could make this a more pedestrian-friendly node in an otherwise auto-oriented station. Still, much better than a vacant lot.
CTA should strongly consider selling their parking lot across the street, especially given their fiscal situation. Wonder what the revenue from parking is relative to the money they could get for the lot if they sold it. Probably a pretty poor yield.