Plans have been revealed for a residential development at 571 West Polk Street in the Near West Side. Located at the intersection with South Jefferson Street, the nearly block-long proposal would replace an existing three-story commercial building in a relatively underdeveloped area. Efforts are being led by local developer Jane Mirkhaef.

Site view of 571 W Polk St via Jane Mirkhaef

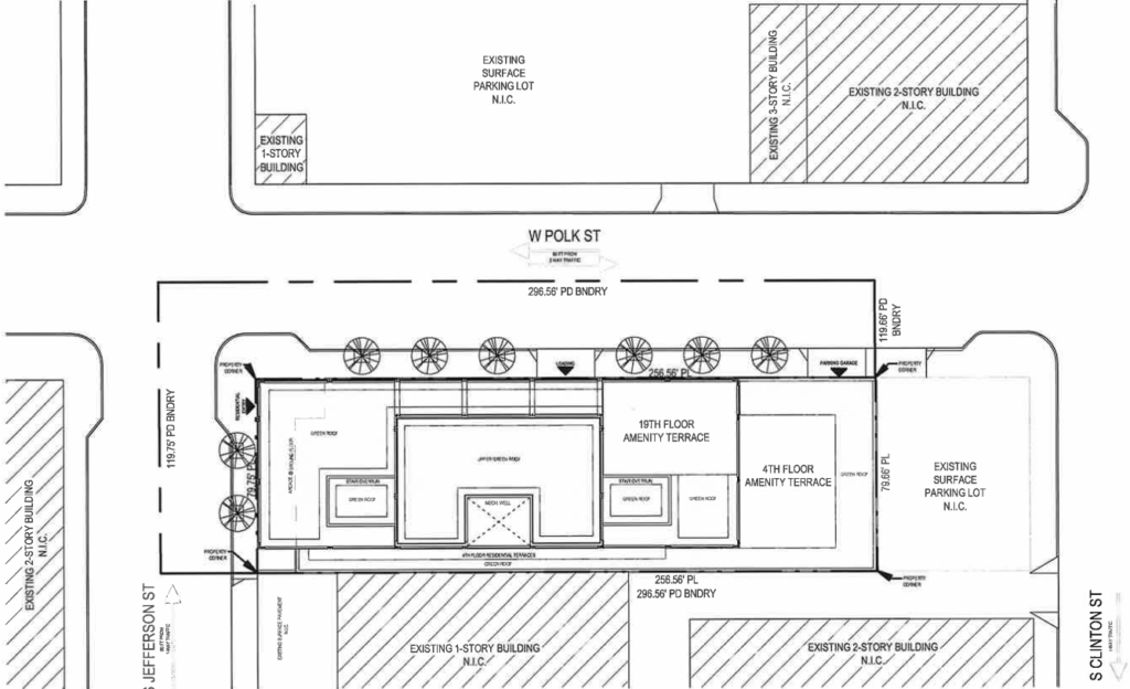
Site plan of 571 W Polk St via Jane Mirkhaef
The building’s architect is currently unknown; however, the overall design aesthetic, featuring a brick base along with an industrial-style glass tower, is in line with much of what has been seen in projects west of the river in recent years. The tower would sit just a few blocks from the Dan Ryan, as well as the Old Post Office and Greyhound station.

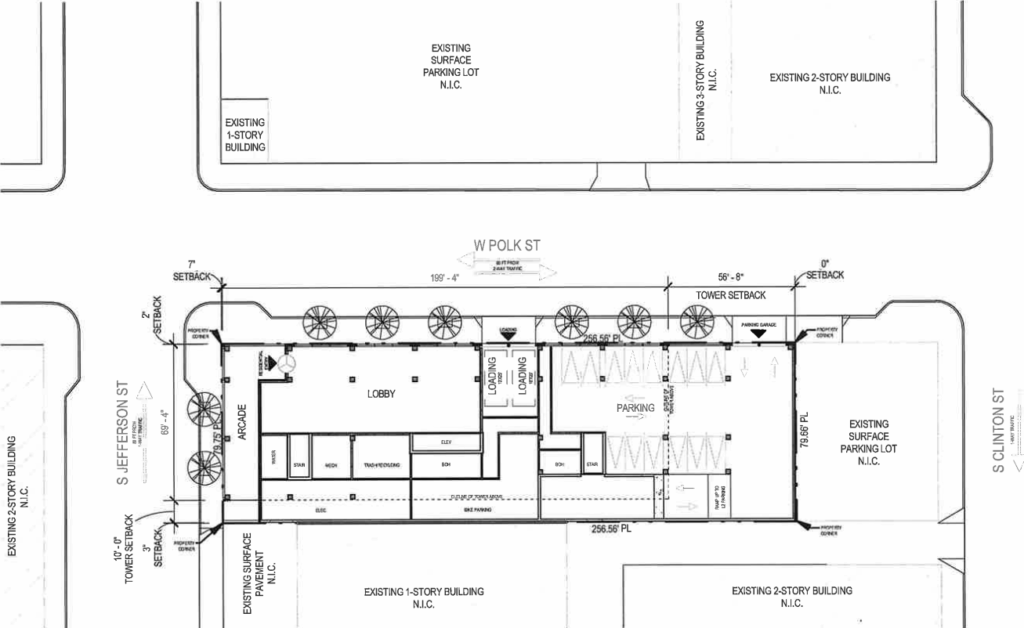
Ground plan of 571 W Polk St via Jane Mirkhaef
The structure will rise 19 stories and reach approximately 201 feet in height, anchored by a four-story podium on the east end of the site. The entrance will be located within an arcade on the west side, beneath the tower above. Inside will be a 102-vehicle parking garage, a large lobby, a bike parking room, and 237 residential units, of which 20 percent will be designated as affordable.

Elevations of 571 W Polk St via Jane Mirkhaef

Elevation of 571 W Polk St via Jane Mirkhaef
Residents will have access to various amenity spaces, including two rooftop decks—one above the rear portion of the podium and another atop the tower. At the moment, no additional information is available, with the team submitting a zoning application for the project this week ahead of the city’s next meeting.
Subscribe to YIMBY’s daily e-mail
![]()
Follow YIMBYgram for real-time photo updates
Like YIMBY on Facebook
Follow YIMBY’s Twitter for the latest in YIMBYnews


Area is definitely underdeveloped, curious to see if this actually gets built.
I really hope the next building boom brings more development to this area. Being so close to downtown theres no reason this area should be littered with parking lots and drive thru’s. Hope this gets built!
It’s wild. I bike through here a lot, and it’s a total ghost town. It also has 3 & 4 lane one-ways. Also, the city recently approved a Raising Canes fast food joint with a drive through which was recently completed and opened. But then the city just completed a ton of protected bike lanes in the area. It’s a conundrum. It should be ripe for a ton of development though, it’s ready to be transformed. It’s so close to downtown, this should be a no-brainer.
Holy crap finally. Ive been saying for years this area is the next frontier in connection Westloop, southloop, and surrounding areas!
Walking around there feels like a wasteland of sorts, right in the heart of our city — surrounded by high priced real estate in every direction. Reminiscent of more “hollowed out” cities like St Louis and Detroit. There’s no reason we shouldn’t have lots of new development over there.
I agree 100% with all of these comments. It’s like you enter another world a block or two away from the south west loop. So much potential to change this area. Hopefully this gets built, and then many others with retail below it. Such a strange area to be so hollowed out like St. Louis or Detroit or Cleveland next to second biggest downtown in the country.
Looks like a piece of graph paper.
Shhhhh, don’t expose their secrets of a design process. Some developers pay bottom dollar to bring those ideas to life.
Frankie got nothing on the “find whatever is in the office supplies closet” method. It’s trademarked.
You can thank the Eisenhower expressway for this area looking like a neglected part of the city. Entire neighborhoods were cleared out to put in the highway and many have never recovered. It takes decades for them heal, and many never have. It’s good that this project is going in to help fill in this area.
Maxwell St… a piece of Chicago history I wish I could experience. Thanks, Urban Renewal.
This area has a low density zoning classification (Downtown Service District) by design.
That is why it looks this way.
As someone who used to work at Canal and Polk, I greatly welcome some change in that area. It definitely felt desolate and out of the way. I never understood the Canal street shops with the backyard so empty.